Objektart
Wohngrundstück
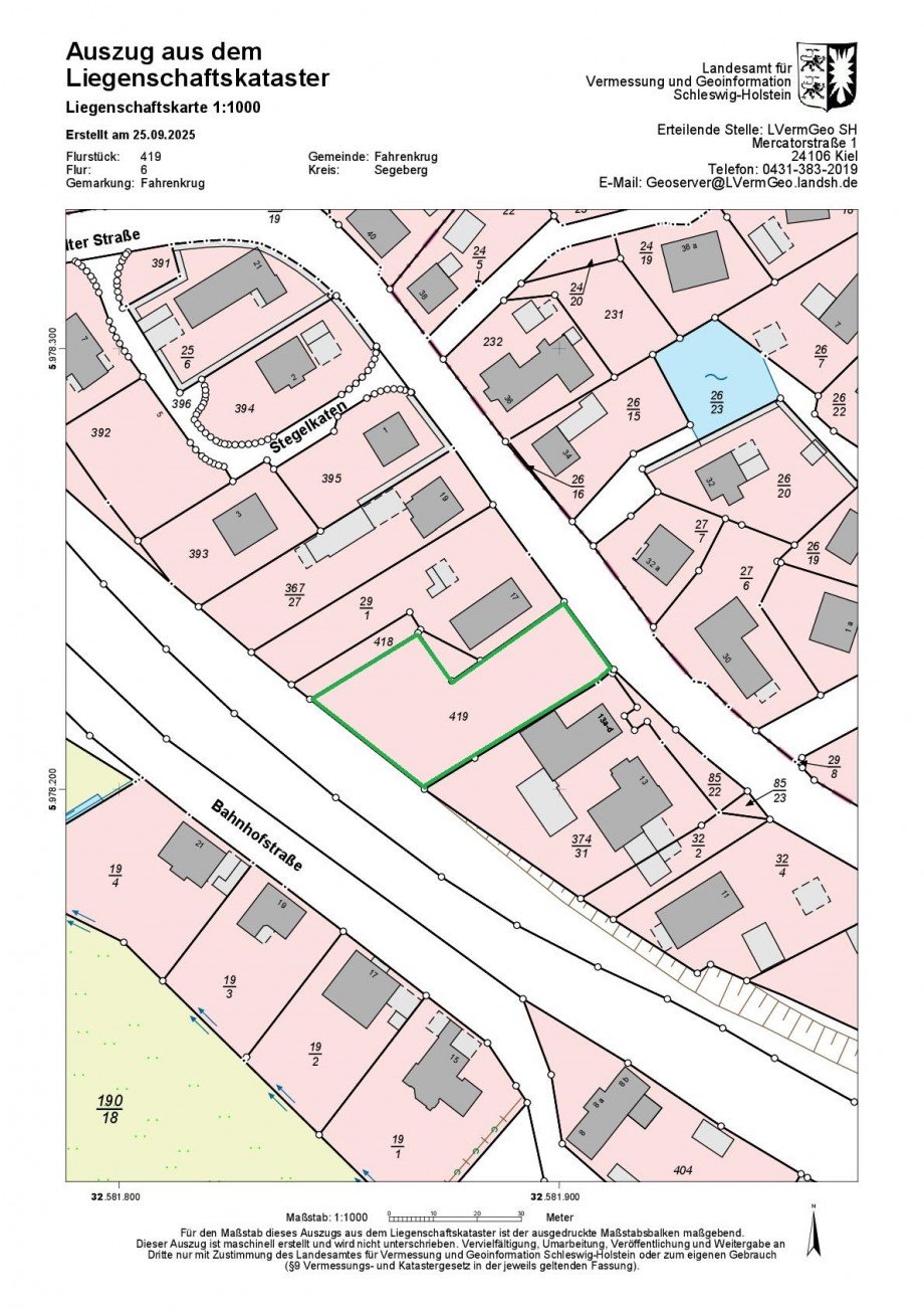
Adresse
23795 Fahrenkrug
Objektdaten
Details
Bebaubar nach
§34 BauGB (wie Nachbarschaft)
Provision für Käufer
3,5 % inkl. MwSt
Ihr nächstes Bauprojekt - ideal für Bauherren und Kapitalanleger!
Dieses Grundstück in Fahrenkrug überzeugt durch seine zentrale Lage im Ort, die Nähe zum Bahnhof und die gute Anbindung an die umliegenden Städte.
Die Bebauung ist gemäß § 34 BauGB möglich und orientiert sich an der Umgebungsbebauung, was flexible und wirtschaftliche Planungen ermöglicht. Mit ca. 1.328 m² steht ausreichend Fläche für unterschiedliche Bauvorhaben zur Verfügung.
Fordern Sie jetzt unser Exposé an und entdecken Sie die Möglichkeiten dieses besonderen Angebots!
Ihre Leonie Kundler
